VinBera2 Logo

BMW 3 SERIES 330I 2021

3MW5R1J03M8B85587

3MW5R1J03M8B85587_1 3MW5R1J03M8B85587_2 3MW5R1J03M8B85587_3 3MW5R1J03M8B85587_4 3MW5R1J03M8B85587_5 3MW5R1J03M8B85587_6 3MW5R1J03M8B85587_7 3MW5R1J03M8B85587_8 3MW5R1J03M8B85587_9 3MW5R1J03M8B85587_10
Details
Final Bid: 8700
VIN 3MW5R1J03M8B85587
Year 2021
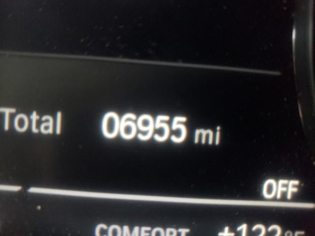
Odometer 6955 mi
Engine 2.0L 4
Gearbox AUTOMATIC
Drive train Rear-wheel drive
Color BLACK
Fuel GAS
Keys Yes
Information
Auction date 06-07-2022
Sale type Auction
Status Sold
Seller
Location GA - ATLANTA EAST
Damage Front End,

BMW 3 SERIES 330I 2021

3MW5R1J03M8B85587

Discover the auction opportunity for the BMW 3 SERIES 330I 2021 with VIN: 3MW5R1J03M8B85587. This vehicle is located in GA - ATLANTA EAST and is offered by n/a.

Our detailed vehicle report indicates that this BLACK BMW 3 SERIES 330I 2021 has sustained damage to the Front End, .

With a mileage of 6955 mi, it features a 2.0L 4 engine, an AUTOMATIC gearbox, and runs on GAS.

Don't miss your chance to bid on this BMW 3 SERIES 330I 2021 3MW5R1J03M8B85587. Best of luck with your auction!

YOU MAY ALSO LIKE

5UXTY9C05L9B08315
VIN: 5UXTY9C05L9B08315
Final Bid: 20125

BMW X3 M40I 2020

WBS53AZ02PCM53253
VIN: WBS53AZ02PCM53253
Final Bid: 24600

BMW M4 2023

5UXUJ5C5XKLA93440
VIN: 5UXUJ5C5XKLA93440
Final Bid: 16700

BMW X4 M40I 2019

5UX2V1C04M9H69809
VIN: 5UX2V1C04M9H69809
Final Bid: 25800

BMW X4 XDRIVE30I 2021